New Permit Requirements: How to Create a Site Plan for Your Vacation Rental
Struggling with how to create a site plan?
If you are like us, you are struggling right now to create a site plan to meet to the county's new permit requirement for unincorporated areas. Here's a few pointers and the background.
Background
In the new Vacation Rental Ordinance just enacted, permit applicants in the unincorporated areas of Sonoma county are required to submit as part of their application, a site plan that includes formatting requirements (e.g. drawn to scale), existing structures and features, parking and access, and exterior lighting.
How to Create Your Site Plan
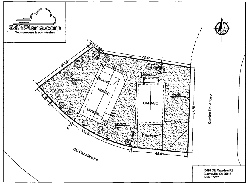
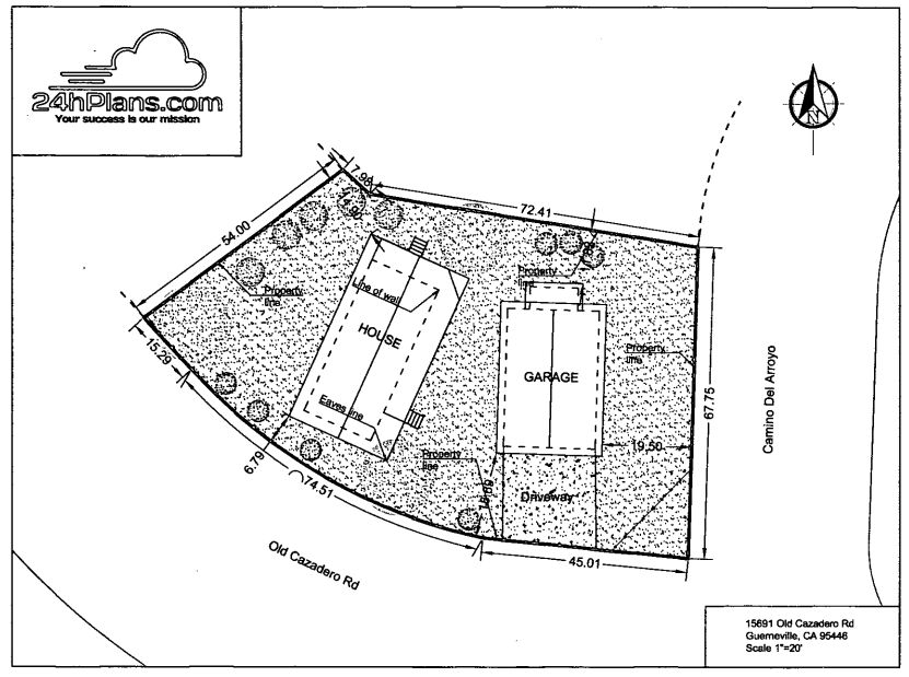
We'll use the site plan of the one of our board member's vacation rental permit application as an example.
- If you already have a permit head
over the the county permit website to retrieve the existing site plan. If you don't have a permit, you can skip this step and go to step 5.
- Enter your parcel number or address. The results should look something like this:


3. Click on the original permit application. If you don't have an existing permit, skip this step.
4. Click on the documents and the final application. For our example property
here is the document that contains the original site plan. The document should contain a diagram that looks like this.

5. You have a few options this point. One you edit the existing site plan with Adobe Acrobat and you lighting.
Once you obtain an editable PDF, you'll just need to annotate it with your lighting.
Or you can consult a licensed local land surveyor or design professional to produce a site plan for your property.










